Demolición del edificio del Asador Hondartzape y posterior restauración dunar

Problemática

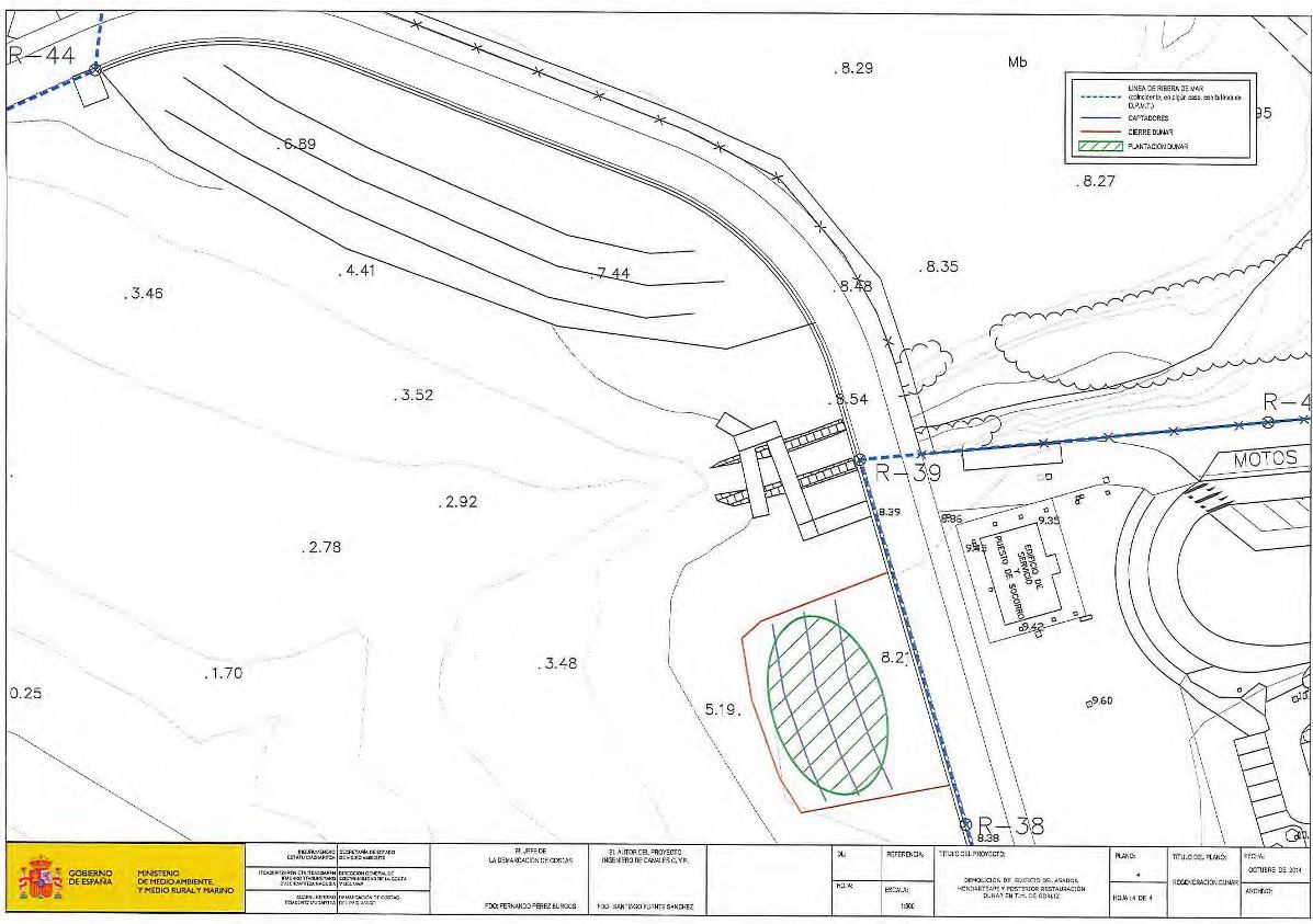
Plano de situación

El Ministerio de Agricultura, Alimentación y Medio Ambiente, mediante Orden Ministerial de 25 de febrero de 2013, declara la extinción de la concesión otorgada por Orden Ministerial de 17 de noviembre de 1944 de ocupación de terrenos de dominio público marítimo-terrestre para instalar un merendero en la playa de Gorliz, en el término municipal de Gorliz (Vizcaya), sin que proceda el pago de indemnización alguna y ordena a la Demarcación de Costas de este Ministerio en el País Vasco que levante Acta de reversión al Estado de los bienes comprendidos en la concesión y, previas las actuaciones oportunas, proceda al levantamiento y retirada del dominio público marítimo-terrestre de las obras e instalaciones incluidas en dicha concesión.
En base a todo ello, procede llevar a cabo el levantamiento de las obras e instalaciones del asador "Hondartzape", a la mayor brevedad, toda vez los riesgos que supone para la Administración la existencia del citado edificio en la playa.

Actuaciones

Plano de planta

El objeto del proyecto es la recuperación de un espacio arenoso de unos 500 metros cuadrados, equivalente al área que ocupa en la actualidad dicho establecimiento (unos 350 m2) más el que ha quedado entre el mismo y el nuevo paseo (unos 150 m2).
La actuación consistirá, en esencia, en la demolición y retirada hasta vertedero de las obras incluidas en la concesión, esto es, de la edificación (consistente en bar-restaurante, cocina, aseos y terraza superior), de la explanada hormigonada junto con sus muros perimetrales y relleno de cimentación, así como de las acometidas desde las redes hasta la edificación.
Para el acondicionamiento de la parcela se procederá cribado de la arena que quede en la zona, para retirada del material antrópico, y su preparación para formación dunar en su parte más interna, al objeto de lograr una mínima estabilización del área, con reperfilado, colocación de captadores, plantación de especies dunares, y balizamiento con cierre de madera y cuerda.

 

Situación:  Próxima realización

Plazo: 3 meses

Presupuesto: 64.305,00 €

Coordenadas: 504420 E 4807317   (30 T)

Galería de imágenes

Haga click sobre la imagen para ver la galería del proyecto a tamaño completo:

Galería de fotos del proyecto

 

Accesos directos